17
$275,000 Sale
Listed 3 days ago
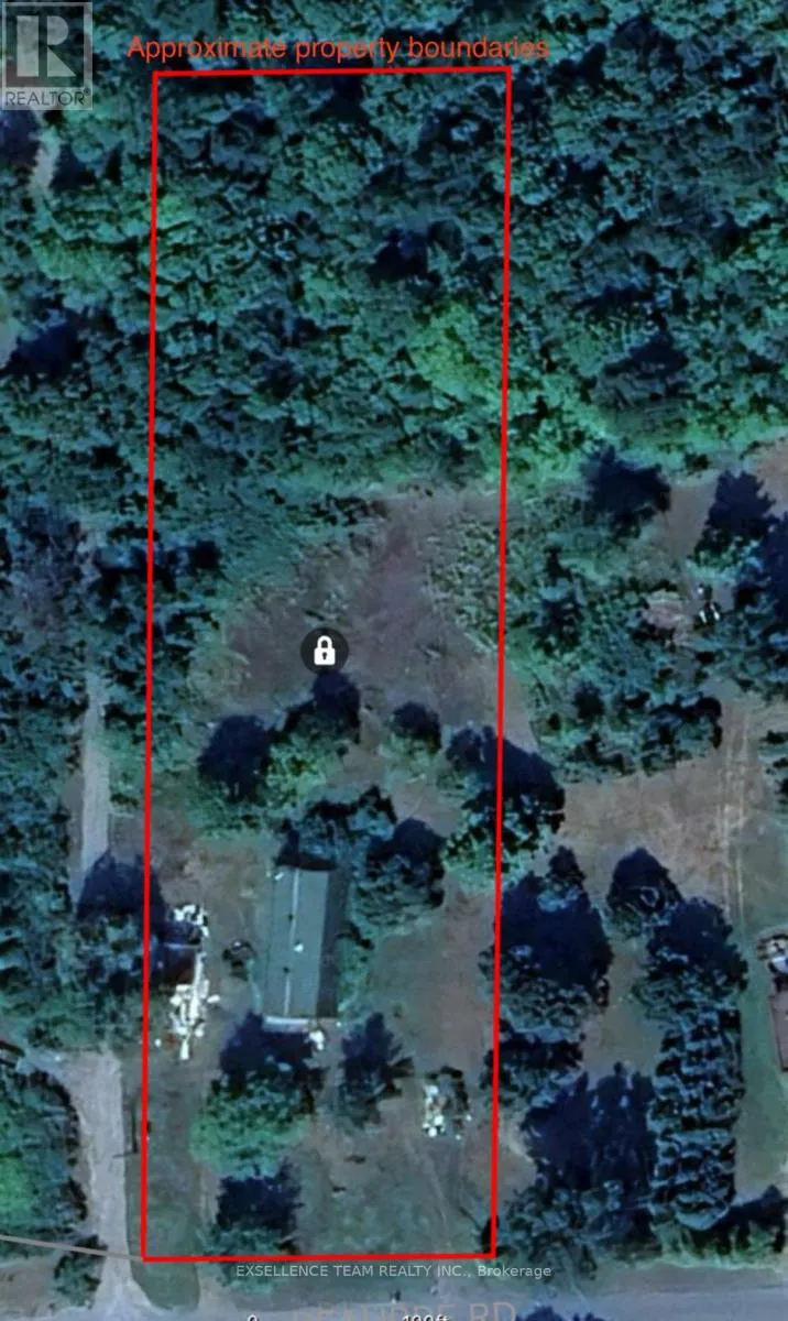
20115 BEAUPRE ROAD W
· 3
· 2.0
· 10
· 1500 - 2000
Key Facts
Key facts for 20115 BEAUPRE ROAD W
Property Type
House, House
Parking
Garage: No, 10 parking
MLS #
X12482595
Size
1500 - 2000 sqft
Basement
None
Listed on
-
Lot size
-
Tax
-
Days on Market
-
Year Built
-
Maintenance Fee
-
Description
This building is not move in condition, there was a water leak upstairs that leaked down through the lower level doing extensive damage. There is also some damage to the ensuite bathroom and the upper level closet beside it. There is visible mould through the entire lower level. The building is bei...ng sold as is. There is a drilled well on the east side of the house and we believe a septic system on the west side of the house. No paperwork is available on either. The property consists of a two-story building with a workshop on the main level, which was previously a kitchen cabinet shop and a three bedroom apartment above it. Please check directly with the Township of South Glengarry for any uses you may have for the main level, including converting it to an Inlaw suite or apartment. Their phone number is 613-347-1166.. The building has 1544 ft. of finished living space and 1800 sq. ft. of what was a kitchen cabinet workshop which needs renovation/repairs (id:10452)
Similar Properties (No results)
Room Types
Bedroom
-
Dimensions 17.7 m x 16.6 m
3162.65 sqft
Bedroom 2
-
Dimensions 10.8 m x 11.1 m
1290.38 sqft
Bedroom 3
-
Dimensions 11.1 m x 10.2 m
1218.69 sqft
Listing courtesy of: EXSELLENCE TEAM REALTY INC.
This REALTOR.ca listing content is owned and licensed by REALTOR® members of The Canadian Real Estate Association.